威客电竞(vkgame)-为竞技而生

威客电竞(vkgame) 400-0020910
威客电竞(vkgame) 中文
易飞输电线路航测平台
secureAna_display

易飞输电线路航测平台

易飞输电线路航测平台是基于图像麋集点云匹配和摄影丈量手艺,,,,,,,,针对输电线路巡视而研发的自动化图像剖析平台。。。。。。。平台支持多旋翼和牢靠翼无人机的可见光、激光雷达数据泉源,,,,,,,,可实现输电导线弧垂建模、点云分类、交织跨越剖析、树障清静距离剖析、树障危险性剖析等等,,,,,,,,并能快速定位障碍位置,,,,,,,,识别障碍类型,,,,,,,,并生身剖析报告。。。。。。。内置南网、国网运维标准。。。。。。。

高效的作业流程

加载点云数据
加载点云数据
添加杆塔
添加杆塔
选择立体工具
选择立体工具
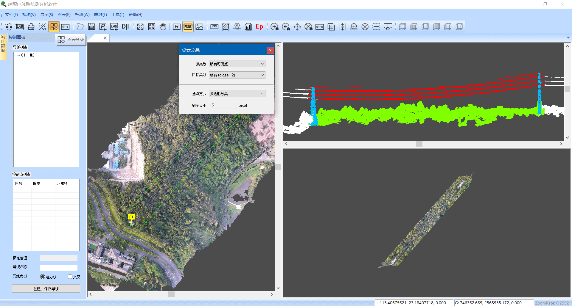
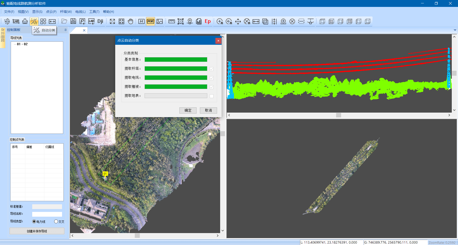
点云分类
点云分类
报告天生
报告天生
加载点云数据 添加杆塔 选择立体工具 点云分类 报告天生

强盛的功效

导线提取
导线提取
点云分类
点云分类
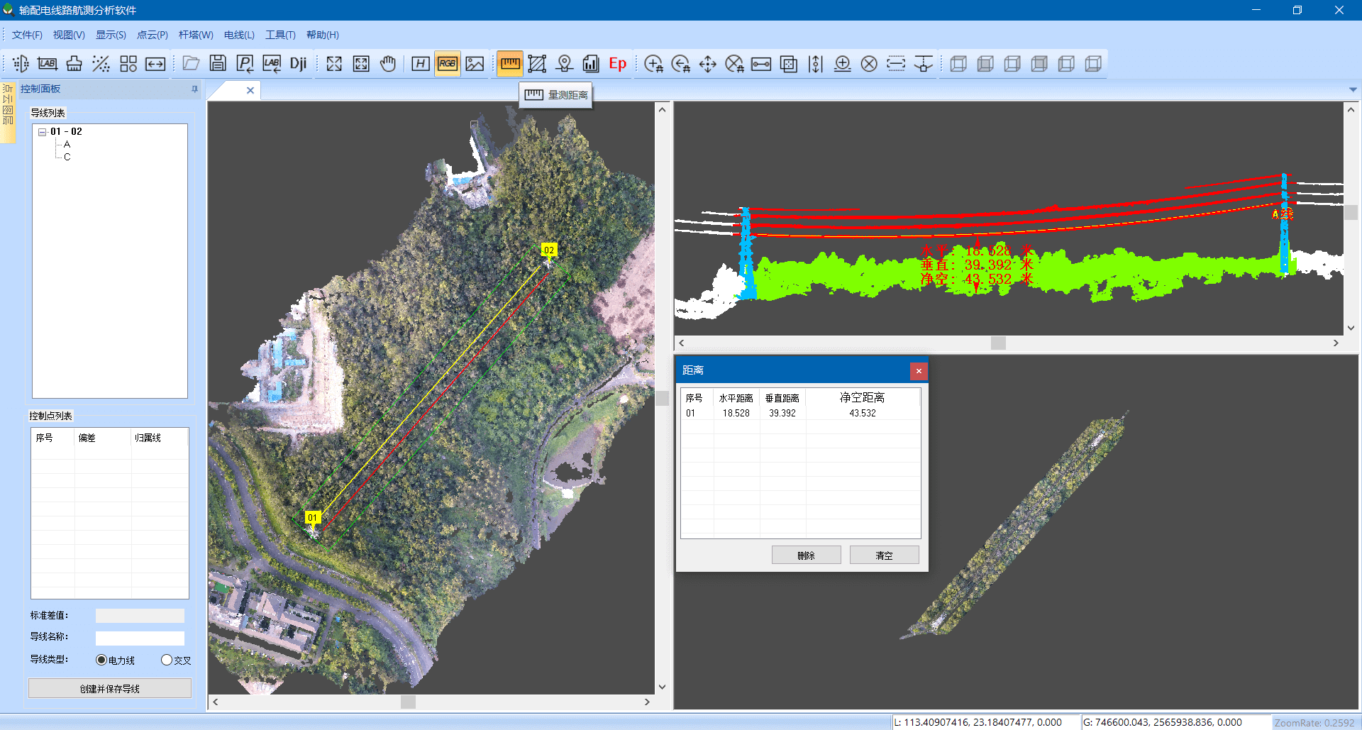
空间量测
空间量测
缺陷剖析
缺陷剖析
报告天生
报告天生
导线提取 点云分类 空间量测 缺陷剖析 报告天生

兼容大疆智图

兼容大疆智图工程,,,,,,,,为线路模子举行优化,,,,,,,,助力电力巡检作业一直向便捷化、智能化生长。。。。。。。


.

威客电竞(vkgame)

电话咨询

拨打电话咨询更多
拨打电话咨询更多
威客电竞(vkgame)

产品及营业咨询

威客电竞(vkgame)
扫码加微咨询更多计划
【网站地图】【sitemap】